№ 2970005
Продажа земельного участка под индивидуальное строительство (деревня Ивановское)
городской округ Бор, Нижегородская область
2 800 000 руб.
№:
2970005
Район:
городской округ Бор
Ближайший населённый пункт:
деревня Ивановское
Площадь земельного участка:
8 соток
Хочешь дом в хвойном лесу, вблизи от города, тогда этот участок для Вас.
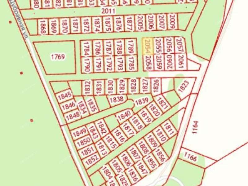
В продаже земельный участок в Борском районе, деревня Ивановское (Краснослободский с/с) участок ровный без уклона, прямоугольной формы, 8 соток, 1-я линия
Сделано межевание.
Категория земель земли населенных пунктов.
Виды разрешенного использования ИЖС.
До участка новая асфальтная дорога.
Участок относится к деревне.
Электричество подведено 15 кв.т. Новые бетонные опоры.
Газ до участка по догазификации в декабре 2025 года.
1 собственник. Документы готовы к продаже. Без долгов и обременений.
Отсутствие взносов в ТСЖ/ТСН.
Сельские тарифы на газ, свет и т.д.
Возможность получения постоянной прописки.
До Нижнего Новгорода 25 км.
До г.о. Бор 8 км по новой дороге.
Сейчас самое интересное по цене предложение.
Большинство участков уже распродано, идет активное строительство.
Участок можно приобрести как за наличный расчет, так и в ипотеку, либо с использованием сертификатов (военная ипотека, материнский капитал)
Подходит под льготные ипотечные программы ( семейная, IT и сельхоз ипотека)
Звоните, организую просмотр.
Телефоны продавца
Похожие предложения
городской округ Бор, деревня Красная Слобода (Краснослободский сельсовет
Краснослободская улица
8 соток
Позвонить








