№ 2922291
Продажа земельного участка под индивидуальное строительство (село Елховка)
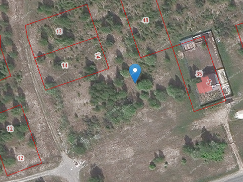
Кстовский район, Нижегородская область
1 250 000 руб.
№:
2922291
Район:
Кстовский
Ближайший населённый пункт:
село Елховка
Площадь земельного участка:
10 соток
Продам участок 10 сот в ТИЗ Елховка под ИЖС, сектор Г. Участок широкий, удобный подъезд, тихие соседи, газ по границе в дальнейшем возможно подключение, остановка Новые ключищи в 5-10 мин ходьбы. Сейчас идет активная застройка этого сектора. Межевание участка будет готово через 2 недели. Один взрослый собственник более 20 лет в собственности, Добраться до НН можно за 20 минут, до Кстово 25-30мин, рядом есть автобусная остановка. Соседние дома жилые, круглогодично. Кадастровый номер 52:26:0050045:346 подходит под любой вид расчета .
Торг уместен
да
